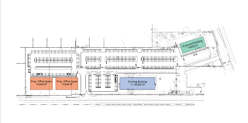
1909 Rt 70 E Cherry Hill 4.25

  • April 25, 2025
  • 0